La alcaldesa de Tampa, Jane Castor, advirtió este martes a la pobladores que “si deciden quedarse en una de esas zonas de evacuación, van a morir”, en referencia al huracán Milton, que en las próximas horas golpeará con fuerza inusitada la costa oeste de Florida.
Castor hizo este dramático llamado y añadió que “lo que podemos esperar es que la tormenta vaya un poco más hacia el sur”.
En rueda de prensa ante los medios locales, la alcaldesa confirmó que “si una marejada ciclónica entra en la bahía de Tampa, no tiene adónde ir. Llegará a nuestros vecindarios”.
Sin embargo, fue más allá y alertó “Puedo decir sin dramatizar en absoluto: si deciden quedarse en una de esas zonas de evacuación, van a morir”.
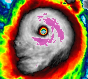
Según los pronósticos del Centro Nacional de Huracanes de EE.UU. (NHC, por sus siglas en inglés), Milton tocará tierra como un huracán “potencialmente mortal” por las tormentas, fuertes vientos e inundaciones que generará.
Según el último boletín del NHC de este martes, el huracán volvió a alcanzar la categoría 5 con vientos sostenidos de 270 km/h, luego de que se había debilitado ligeramente en la madrugada. Mantenía la trayectoria que debe llevarlo a tocar tierra en o los alrededores de Tampa.

