La medicina veterinaria cada día se asemeja más a la medicina humana, el bienestar y la salud de las mascotas exige más al veterinario.
Ellos son miembros de la familia, un hijo más. Un gato, un perro, un caballo, un ave, un cerdo y la lista sigue interminablemente, ya son un compañero indispensable en algunos abuelos/as, para los estudiantes, para las parejas sin hijos y por qué no el compañero de travesuras de sus hijos. Sería inapropiado pensar que las mascotas no se consideran familia cuando el 90% tienen o tuvieron más de una mascota.

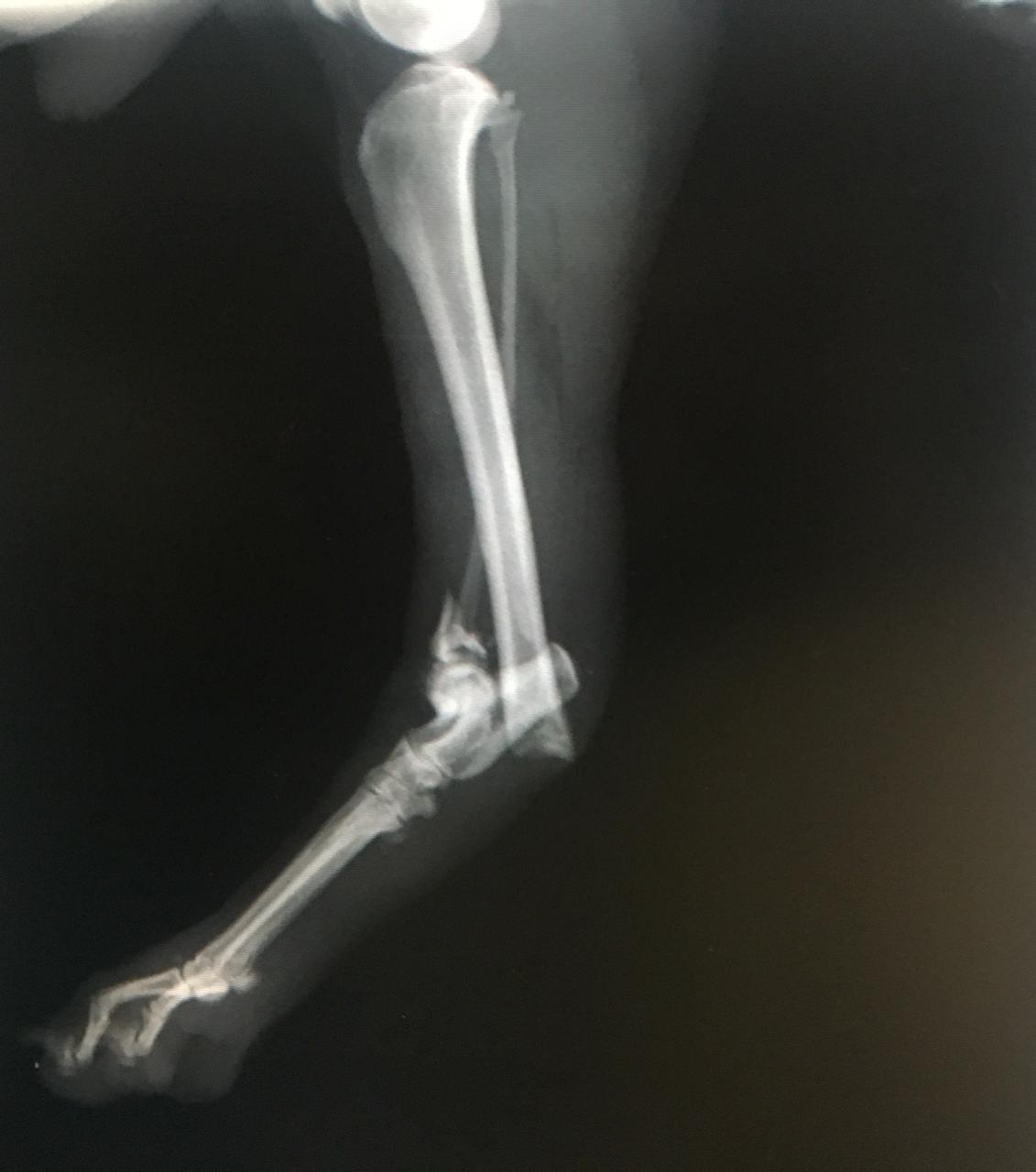
El Doctor Matias Montilla MP 163 especialista Traumatologo y ortopedista un ejemplo de lo que es brindarle importancia y seriedad a la medicina de animales de compañía y nos cuenta que en su clínica situada en capital (Mendoza 1771 norte ) incorporaron hace poco tiempo un maquina de última tecnología en radiología digital que es indispensable para el rápido diagnóstico en fracturas , malformaciones óseas, enfermedades Oncologicas óseas, y enfermedades articulares degenerativas, todas ellas son dolencias que cualquier mascota podría sufrir y podrías no saberlo.

El doctor nos explicó lo importante que es el rápido diagnóstico mediante Imagenes claras y revelado inmediato, este detalle puede salvarle la vida a tu mascota y evitar el sufrimiento. Por esto su visión de invertir en tecnología y educación continúa son sus principales objetivos.

